species
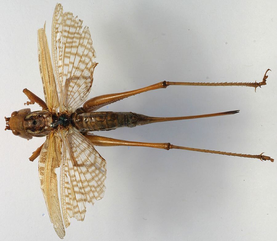
Metaballus frontalis (Walker, 1869)
common marauding katydid
Nomenclature (9)
- Decticus frontalis Walker, 1869: 264.
Holotype; female; cd33a19b-26ca-4df1-9f8c-b00ded2c8be2; deposited at: Natural History Museum, London (NHMUK); Western Australia, King George Sound
- Chlorobalius frontalis (Walker, 1869) in Kirby, 1906: 190.
- ... Show all ... (5)
- Metaballus frontalis (Walker, 1869) in Warchalowska-Sliwa, 1998: 163.
- Metaballus frontalis (Walker, 1869) in Rentz, 2010: 119.
Nomenclature references (9)
- Caudell, A.N. (1908) Orthoptera Fam. Locustidae. Subfam. Decticinae. In Genera Insectorum. P. Wytsman [Ed.]. V. Verteneuil & L. Desmet, Bruxelles. Vol. 72, 1–43 pp. Available at http://www.biodiversitylibrary.org/item/105244#page/339/mode/1up
- Kirby, W.F. (1906) Orthoptera Saltatoria. Part I. (Achetidae et Phasgonuridae). In A Synonymic Catalogue of Orthoptera (Orthoptera Saltatoria, Locustidae vel Acridiidae). British Museum (Natural History), London. Vol. 2, i-viii, 1–562. Available at http://www.biodiversitylibrary.org/item/29662
- ... Show all ... (5)
- Walker, F. (1869) In Catalogue of the Specimens of Dermaptera Saltatoria in the Collection of the British Museum. London. Vol. 2, 225–423 pp. Available at http://www.archive.org/details/catalogueofspeci02britrich
- Warchalowska-Sliwa, E. (1998) Karyotype characteristics of katydid orthopterans (Ensifera, Tettigoniidae), and remarks on their evolution at different taxonomic levels. Folia Biologica (Kraków), 46, 143–176.
Descendants and synonyms
Stats
| Valid names | |||||
|---|---|---|---|---|---|
| Rank | Extant | Fossil | Invalid | Total | |
| species | 1 | 0 | 2 | 3 | |
