subspecies
Chrysochraon dispar intermedius Miksic, 1978
Nomenclature (1)
- Chrysochraon dispar intermedius Miksic, 1978
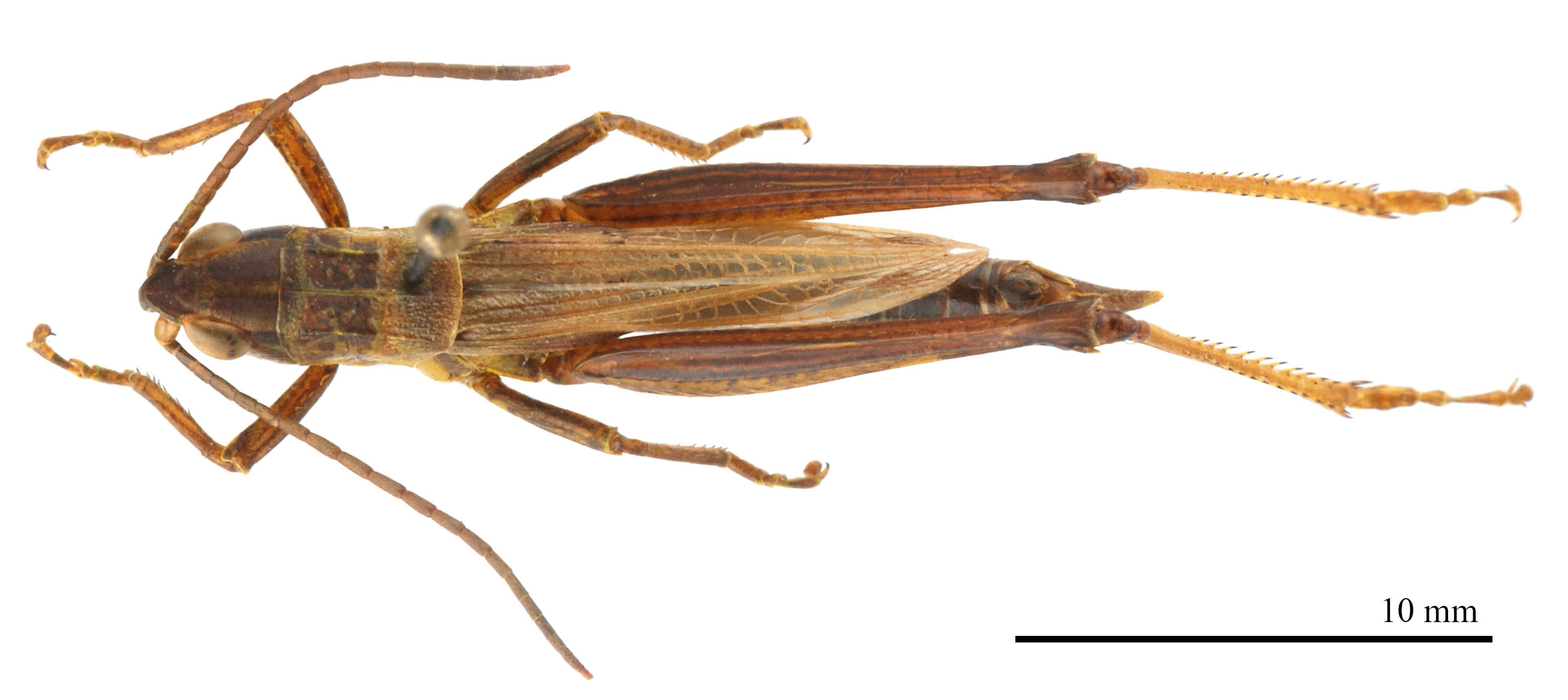
Holotype; male; a2c03697-85e5-40ae-b4b0-53ba43aed907; deposited at: Zemaljski Mujski (ZMSZ); Bosnia and Herzegovina: West Bosnia: Livanjsko polje, Ždralovac
Nomenclature references (1)
- Miksic, S. (1978) Chrysochraon dispar ssp. intermedius (Orthoptera, Acrididae) - nova podvrsta iz Bosne. Glasnik Zemaljskog Muzeja, 17, 237–248.
Descendants and synonyms
Stats
| Valid names | |||||
|---|---|---|---|---|---|
| Rank | Extant | Fossil | Invalid | Total | |
| subspecies | 1 | 0 | 0 | 1 | |
