species
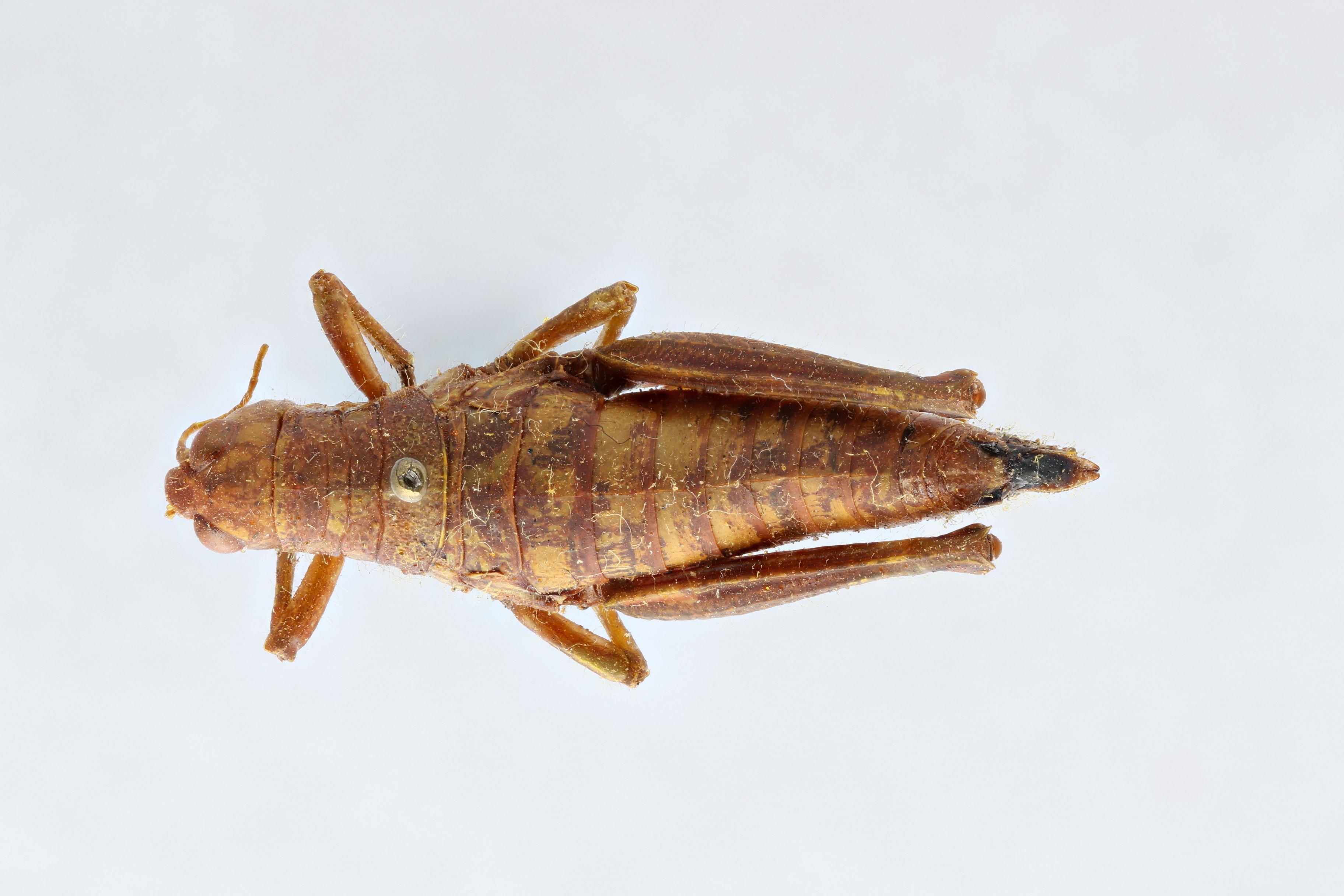
Booneacris alticola Rehn & Randell, 1962
Nomenclature (2)
- Booneacris alticola Rehn & Randell, 1962: 153.
Holotype; male; 4618c1d4-a6bf-4390-b8e7-5de2837e7de4; deposited at: Academy of Natural Sciences of Philadelphia (ANSP); United States: Oregon: Benton: Mary's Peak
- Booneacris alticola Rehn & Randell, 1962 in Otte, 1995: 419.
Nomenclature references (2)
- Otte, D. (1995) Orthoptera Species File 4. Grasshoppers [Acridomorpha] C. The Orthopterists' Society and The Academy of Natural Sciences of Philadelphia, Philadelphia, 518 pp.
- Rehn, J.A.G. & Randell, R.L. (1962) Boonacris, a new generic component of the North American Melanoplini (Orthoptera: Acrididae, Cyrtacanthacridinae). Transactions of the American Entomological Society, 88, 105–182.
Descendants and synonyms
Gender, form, and etymology
Etymology:
Latin for highland inhabitor.
Stats
| Taxon | Valid names | |||
|---|---|---|---|---|
| Rank | Extant | Fossil | Invalid | Total |
| species | 1 | 0 | 0 | 1 |
