species
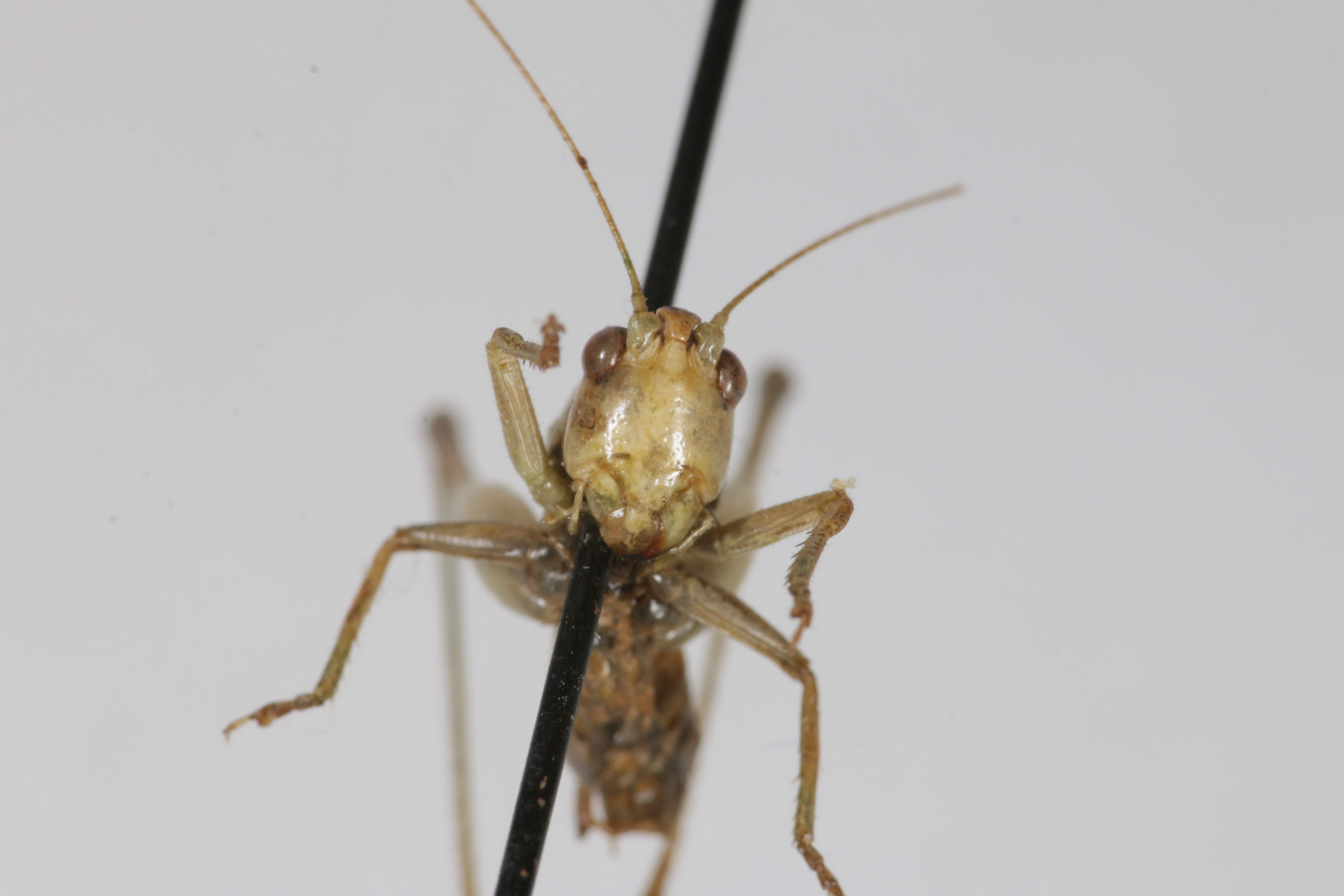
Fulvoscirtes viridis Hemp, 2012
Nomenclature (2)
- Fulvoscirtes viridis Hemp, 2012 in Hemp, Kehl, Heller, Wägele & Hemp, 2012: 402.
Holotype; male; d6aee2a7-0636-4b16-abc7-37f1a745bb02; deposited at: Museum für Naturkunde (MfN); United Republic of Tanzania: Arusha: between Mt. Longido and Mt. Meru, grassy patches in tree savannah
- Fulvoscirtes viridis Hemp, 2012 in Hemp, 2021: 82.
Nomenclature references (2)
- Hemp, C. (2021) In A Field Guide to the Bushcrickets, Wetas and Raspy Crickets of Tanzania and Kenya. Senckenberg. 451 pp.
- Hemp, C., Kehl, S., Heller, K.-G., Wägele, J.W. & Hemp, A. (2012) Ecological adaptations of grassland-inhabiting flightless Orthoptera: Fulvoscirtes and Acanthoscirtes, two new genera of African Karniellina (Orthoptera, Tettigoniidae, Conocephalinae, Conocephalini). Systematic Entomology, 37, 387–407.
Descendants and synonyms
Stats
| Valid names | |||||
|---|---|---|---|---|---|
| Rank | Extant | Fossil | Invalid | Total | |
| species | 1 | 0 | 0 | 1 | |
