species
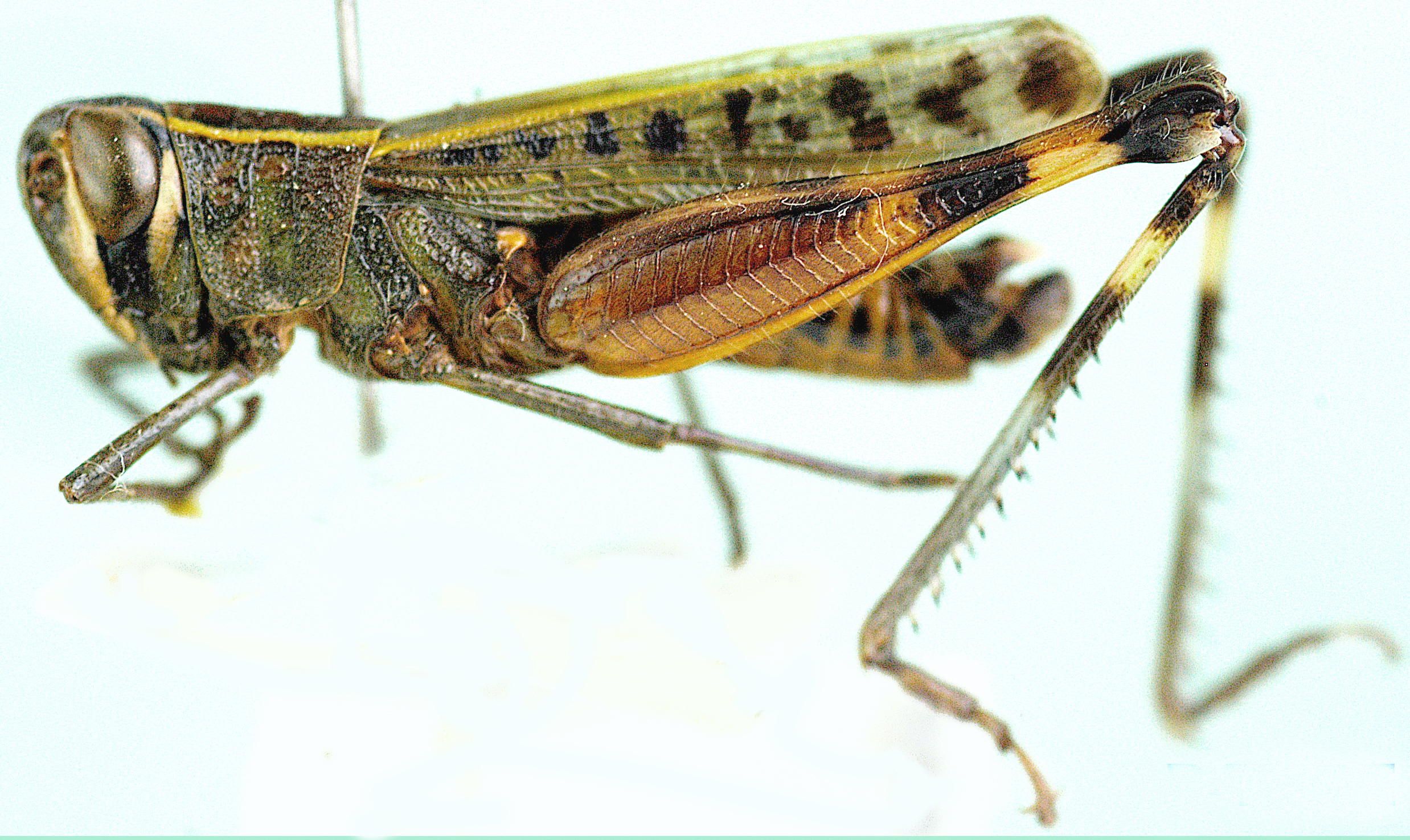
Heteracris acuticercus Grunshaw, 1991
Nomenclature (1)
- Heteracris acuticercus Grunshaw, 1991: 49.
Holotype; male; c12db061-121e-46cb-9de0-cf883bf02e0f; deposited at: Transvaal Museum (TMSA); 42 km E. of Louis Trichardt
Nomenclature references (1)
- Grunshaw, J.P. (1991) A revision of the grasshopper genus Heteracris (Orthoptera: Acrididae: Eyprepocnemidinae). Natural Resources Institute Bulletin, 38, i-iv, 1–106. Available at http://gala.gre.ac.uk/11108/1/11108_Grunshaw_A%20revision%20of%20the%20grasshopper%20genus%20%28book%29%201991.pdf
Descendants and synonyms
Stats
| Valid names | |||||
|---|---|---|---|---|---|
| Rank | Extant | Fossil | Invalid | Total | |
| species | 1 | 0 | 0 | 1 | |
