species
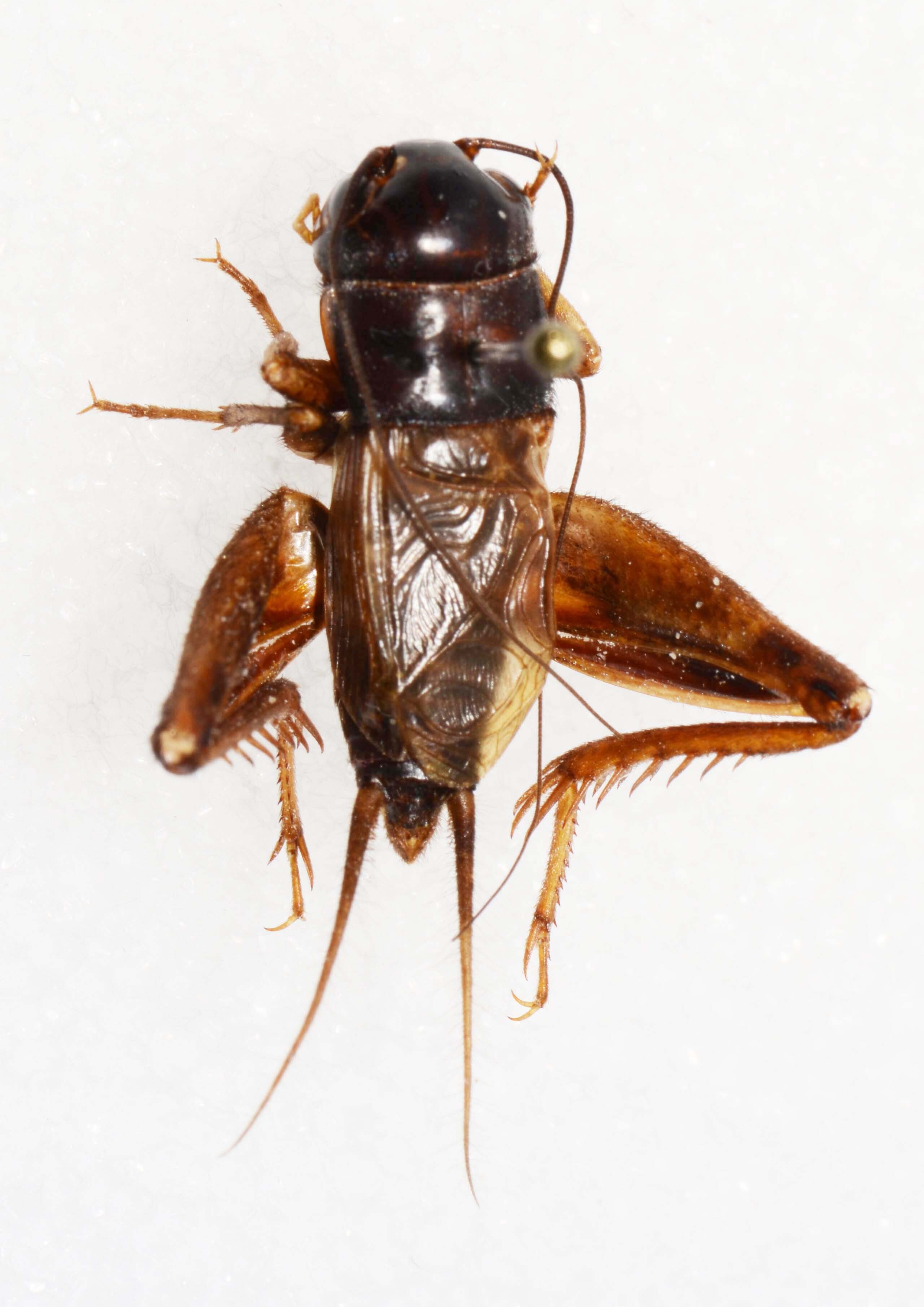
Gryllus (Gryllus) thinos Weissman & Gray, 2019
Texas Beach Field CricketNomenclature (1)
- Gryllus thinos Weissman & Gray, 2019: 42.
Holotype; male; 1195f7b1-c66e-4a35-8e62-fac9207e801a; deposited at: California Academy of Sciences, San Francisco, California (CASC); United States: Texas: Kleberg: Padre Island National Seashore around Malaquite Visitor Center
Nomenclature references (1)
- Weissman, D.B. & Gray, D.A. (2019) Crickets of the genus Gryllus in the United States (Orthoptera: Gryllidae: Gryllinae). Zootaxa, 4705(1), 1–277.
Descendants and synonyms
Stats
| Taxon | Valid names | |||
|---|---|---|---|---|
| Rank | Extant | Fossil | Invalid | Total |
| species | 1 | 0 | 0 | 1 |
